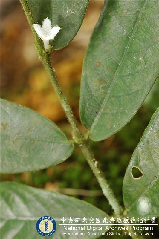
中文種名:圓葉雞屎樹
題名 :
- 中文種名:圓葉雞屎樹
- 學名:Lasianthus wallichii Wight
著作者 :
主題 :
- 雙子葉植物
- DICOTYLEDON
- 科:茜草科
- 科(英文):RUBIACEAE
- 屬:雞屎樹屬
- 屬(英文):Lasianthus
描述 :
出版者 :
日期 :
資料識別 :
來源 :
- 台灣本土植物資料庫(影像資料庫)(http://taiwanflora.sinica.edu.tw/)
語言 :
範圍 :
管理權 :
- 中央研究院 生物多樣性研究中心 植物標本館 Herbarium, Research Center for Biodiversity, Academia Sinica, Taipei (HAST)