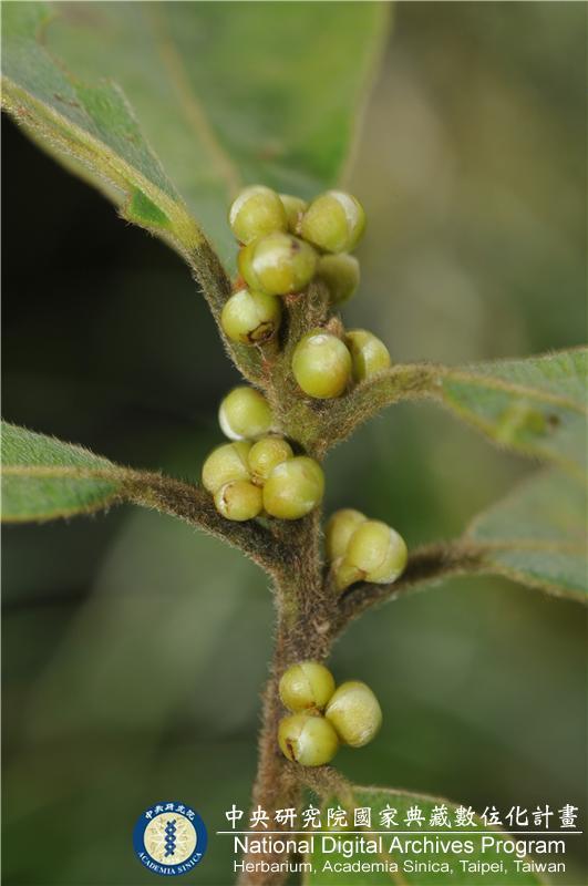
中文種名:霧社木薑子
題名 :
- 中文種名:霧社木薑子
- 學名:Litsea elongata (Wall. ex Nees) Benth. & Hook. f. var. mushaensis (Hayata) J. C. Liao
著作者 :
主題 :
- 雙子葉植物
- DICOTYLEDON
- 科:樟科
- 科(英文):LAURACEAE
- 屬:木薑子屬
- 屬(英文):Litsea
描述 :
出版者 :
日期 :
資料識別 :
來源 :
- 台灣本土植物資料庫(影像資料庫)(http://taiwanflora.sinica.edu.tw/)
語言 :
範圍 :
管理權 :
- 中央研究院 生物多樣性研究中心 植物標本館 Herbarium, Research Center for Biodiversity, Academia Sinica, Taipei (HAST)